News Flash Home
The original item was published from 10/29/2024 11:21:54 AM to 12/31/2024 8:05:00 PM.

News Flash

1-Public Notices

Posted on: October 29, 2024 | Last Modified on: October 29, 2024

[ARCHIVED] Public Service Announcement - Road Closure

Road Closure

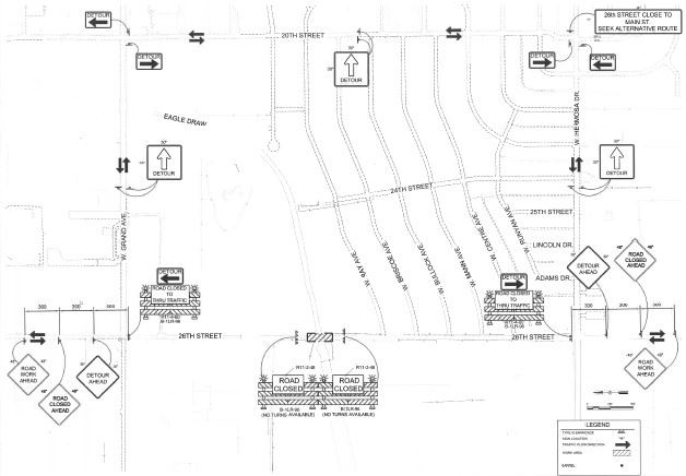
The city will be doing repair work on the bridge on 26th Street beginning October 30th. This work is expected to go until the end of 2024. During this time 26th Street will be closed from Hermosa to Grand. We thank you for your understanding and apologize for the inconvenience.

Facebook Twitter Email